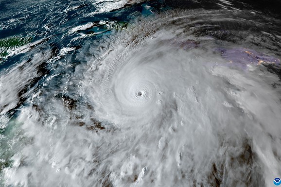
AMERICI PRETI URAGAN KOJI ĆE IZAZVATI KATASTROFALNU ŠTETU! Dramatični proračun vodećih naučnika: "Već sada krenite sa pripremama"
Svet

AMERICI PRETI URAGAN KOJI ĆE IZAZVATI KATASTROFALNU ŠTETU! Dramatični proračun vodećih naučnika: "Već sada krenite sa pripremama"

Blic logoBlic
1

Vodeći naučnici za uragane sa Univerziteta u Koloradu objavili su, u novoj prognozi za 2026. godinu, da postoji 32 odsto šanse da veliki uragan, koji može da izazove katastrofalnu štetu, pogodi obalu Sjedinjenih Američkih Država (SAD).