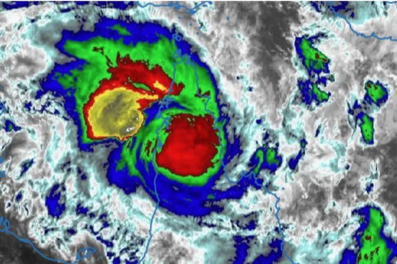
UDARI VETRA DO 220 KM NA ČAS, PRETE I MASOVNE POPLAVE Tropski ciklon Narel ruši sve pred sobom, hiljade domova u Australiji bez struje
Svet

UDARI VETRA DO 220 KM NA ČAS, PRETE I MASOVNE POPLAVE Tropski ciklon Narel ruši sve pred sobom, hiljade domova u Australiji bez struje

Blic logoBlic

Tropski ciklon Narel pogodio je sever Kvinslenda snažnim udarima vetra, a vlasti upozoravaju da bi obilne padavine mogle da izazovu ozbiljne poplave u regionu. Ciklon je prešao istočnu obalu poluostrva Kejp Jorka sa udarima vetra do 220 kilometara na sat, ali je u međuvremenu oslabio sa četvrte na treću kategoriju, saopštio je Meteorološki zavod Australije, preneo je BBC.